×

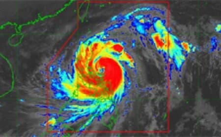
फिलीपींस में फंग-वोंग तूफान का कहर, 14 लाख से ज्यादा लोग विस्थापित

फिलीपींस में फंग-वोंग तूफान ने भारी तबाही मचाई है। तेज हवाओं और भूस्खलन से 4 लोगों की मौत हो गई, जबकि 14 लाख से अधिक लोग बेघर हो गए। लगभग 1,000 घरों को नुकसान पहुंचा है और 132 से अधिक गांव जलमग्न हो गए।

By: Sandeep malviya

Nov 10, 20256:05 PM

view6

view0

फिलीपींस में फंग-वोंग तूफान का कहर, 14 लाख से ज्यादा लोग विस्थापित

मनीला। फिलीपींस में आया शक्तिशाली तूफान फंग-वोंग उत्तर-पश्चिमी हिस्से से गुजरते हुए भारी तबाही मचा गया। तेज हवाओं और लगातार बारिश के कारण कई इलाकों में बाढ़ और भूस्खलन हुए, जिनमें कम से कम चार लोगों की मौत और 14 लाख से अधिक लोग बेघर हो गए। मौसम विभाग के अनुसार, तूफान अब उत्तर-पश्चिम दिशा में ताइवान की ओर बढ़ रहा है।

भूस्खलन में दो बच्चों की मौत, सैकड़ों घर तबाह

अधिकारियों ने बताया कि पूर्वी कैटानडुआनेस प्रांत में एक व्यक्ति की डूबने से मौत हो गई, जबकि सामर प्रांत में एक महिला की घर ढहने से जान चली गई। उत्तरी पहाड़ी इलाके नुएवा विजकाया में हुए भूस्खलन में दो बच्चों की मौत हो गई और उनके माता-पिता व एक अन्य बच्चा घायल हो गए। लगभग 1,000 घरों को नुकसान पहुंचा है और 132 से अधिक गांव जलमग्न हो गए। कई लोग अपने घरों की छतों पर फंसे रहे जब पानी अचानक बढ़ गया।

बिजली गुल, सड़कें बंद और उड़ानें रद्द

185 किमी प्रति घंटे की रफ्तार से चल रही हवाओं और भारी बारिश से कई प्रांतों में बिजली आपूर्ति ठप हो गई। 325 घरेलू और 61 अंतरराष्ट्रीय उड़ानें रद्द कर दी गईं, जबकि करीब 6,600 लोग बंदरगाहों पर फंसे रहे क्योंकि कोस्ट गार्ड ने जहाजों को समुद्र में उतरने से मना कर दिया।

राहत कार्य जारी, राष्ट्रपति ने लगाई आपात स्थिति

फिलीपींस के राष्ट्रपति फर्डिनेंड मार्कोस जूनियर ने हाल ही में आए टाइफून कल्मैगी से हुई तबाही और फंग-वोंग के प्रभाव को देखते हुए आपात स्थिति घोषित की है। राहत और बचाव अभियान तेजी से जारी है, जबकि सरकार ने स्कूलों और सरकारी दफ्तरों को दो दिनों के लिए बंद रखने का आदेश दिया है।  फिलीपींस हर साल करीब 20 तूफानों की चपेट में आता है, साथ ही यहां अक्सर भूकंप और ज्वालामुखी विस्फोट भी होते रहते हैं। यह दुनिया के सबसे अधिक आपदा-प्रवण देशों में से एक माना जाता है।

COMMENTS (0)

RELATED POST

ईरान में हिंसा... खामेनेई ने 217 प्रदर्शनकारियों को गोलियों से भुनवाया

ईरान में हिंसा... खामेनेई ने 217 प्रदर्शनकारियों को गोलियों से भुनवाया

ईरान सरकार के खिलाफ तेहरान में जारी विरोध-प्रदर्शन ने हिंसक रूप धारण कर लिया है। प्रदर्शन उग्र होता देख ईरान के सुप्रीम लीडर अयातुल्ला अली खामेनेई ने प्रदर्शनकारियों पर गोलीबारी करने का आदेश दे दिया। इस गोलीबारी में 217 प्रदर्शनकारियों के मारे जाने का दावा किया जा रहा है।

Loading...

Jan 10, 20269:55 AM

ग्रीनलैंड पर ट्रंप की नजर: डेनमार्क की दोटूक चेतावनी—'हमला हुआ तो बिना आदेश के गोली चलाएंगे सैनिक'

ग्रीनलैंड पर ट्रंप की नजर: डेनमार्क की दोटूक चेतावनी—'हमला हुआ तो बिना आदेश के गोली चलाएंगे सैनिक'

डोनाल्ड ट्रंप के ग्रीनलैंड को खरीदने या कब्जे की चर्चाओं के बीच डेनमार्क ने 1952 का सैन्य नियम याद दिलाया है। जानें क्या है ग्रीनलैंड का रणनीतिक महत्व और ट्रंप का $100,000 प्रति व्यक्ति वाला 'बिजनेस प्लान'।

Loading...

Jan 09, 20265:42 PM

ईरान के अयातुल्ला खामेनेई की ट्रंप को चेतावनी: "अपने देश की फिक्र करें, ईरान विदेशी 'किराए के सैनिकों' को नहीं बख्शेगा"

ईरान के अयातुल्ला खामेनेई की ट्रंप को चेतावनी: "अपने देश की फिक्र करें, ईरान विदेशी 'किराए के सैनिकों' को नहीं बख्शेगा"

ईरानी सर्वोच्च नेता अयातुल्ला अली खामेनेई ने डोनाल्ड ट्रंप और विदेशी ताकतों को कड़ा संदेश दिया है। उन्होंने देश में जारी अशांति को बाहरी साजिश बताते हुए दंगाईयों को भारी अंजाम भुगतने की चेतावनी दी।

Loading...

Jan 09, 20265:10 PM

सैंक्शनिंग रशिया एक्ट 2025: भारत पर लग सकता है 500% तक टैरिफ!

सैंक्शनिंग रशिया एक्ट 2025: भारत पर लग सकता है 500% तक टैरिफ!

अमेरिकी राष्ट्रपति डोनाल्ड ट्रंप ने 'सैंक्शनिंग रशिया एक्ट 2025' को मंजूरी दे दी है। जानिए कैसे यह बिल रूस से तेल खरीदने वाले भारत, चीन और ब्राजील जैसे देशों पर 500% टैरिफ का खतरा बढ़ा रहा है।

Loading...

Jan 08, 20264:20 PM

ट्रंप की वेनेजुएला को चेतावनी: चीन-रूस से नाता तोड़ो, तभी निकालने देंगे तेल; दिवालिया होने की कगार पर काराकास

ट्रंप की वेनेजुएला को चेतावनी: चीन-रूस से नाता तोड़ो, तभी निकालने देंगे तेल; दिवालिया होने की कगार पर काराकास

अमेरिकी राष्ट्रपति डोनाल्ड ट्रंप ने वेनेजुएला की अंतरिम सरकार के सामने कड़ी शर्तें रखी हैं। तेल उत्पादन के लिए सिर्फ अमेरिका से पार्टनरशिप और चीन-रूस का बहिष्कार अनिवार्य। जानें वेनेजुएला के तेल संकट की पूरी कहानी।

Loading...

Jan 07, 20268:02 PM